Etobicoke
Animal Hospital

 

Stories from Marina Animal Hospital

Animal StoriesWe get amazing stories like these occasionally. As we get them, we'll take the time to share some of the most interesting ones with you by publishing them on our website.

Even though we feel sorry for the animals as they do suffer, we feel that sharing their misfortunes might actually help you better protect your pet by knowing what animals, in general, are capable of doing.

Here are a few of our favorite stories....

 

Scipio

It was a short December day, and it has been snowing heavily since the early morning. The staff at Marina was making the last preparations for the evening meal of the animal patients when suddenly, the door opened and a young man entered followed by the cold wind and flurries.

It took him a moment to adjust to the light and warmth. That's when we realized that he was carriying a cat inside his jacket. Before he could say a single word, the nurse took the cat to the exam room, and started the routine procedures as the cat looked weak and unresponsive.

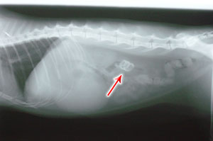
Scipio's X-RayThe man, obviousely shaken, started to mumble a few incoherent words to Dr. Ghazi, when we heard the Nurse call Dr Ghazi saying "Doctor, you got to see this!". She was reffering to the X-Ray just taken from the cat (see picture). "What can be in the cat's stomach?" Wondered Dr. Ghazi. It must be metallic as it has absorbed a lot of the X-rays (appears white on image). "We must prepare the cat for emergency surgery" said Dr Ghazi. "He has ingested something like a wire".

Meanwhile, the man who brought the cat started explaining what had happened to the receptionist. "My cat's name is SCIPIO, and I found him like that when I got home" said the man who introduced himself as Edmund.

About an hour passed before Dr. Ghazi came out of the operating room with his usual smile, holding Scipio who was still asleep in a recovery box. "You won't believe this!" muttered Dr Ghazi, "Look what I found in his stomach!" he said while holding a telephone cord in his left hand (see picture).

How could this happen? I have never seen such a thing. That's a very persistant cat (must have been hungry too!).

Scipio could not eat or drink for 7 days, and he had to be fed intravenousely during that time. Because of his taste for plastic wires, we had to put him a collar to prevent him from eating the intraveinal tube.

It took about 10 days for Scipio to return home, only to find that his master Edmund had replaced all the phones with cordless ones.

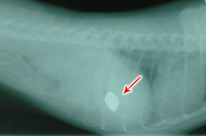
Roxy's X-Ray


Roxy

Some cats will eat anything they can get down their throat. Most of the time, it's harmless items that get digested, or are small enough to go through the digestive system without harming the animal, but on rare occasions we do see strange X-Rays like ROXY's who had ingested 4 pennies (not the best way to save!).

Fortunately Roxy is healthy and doing well now. She has since kept herself away from money, wich gives her owner Melissa more money to spend on Quality food.

 

There are many stories here at Marina. Sometimes some of them get the attention of the local press as was the case with Mithu (Read story). Keep coming back to this page as we'll update it with new stories and adventures on a regular basis.

  Website Development by Alliance www